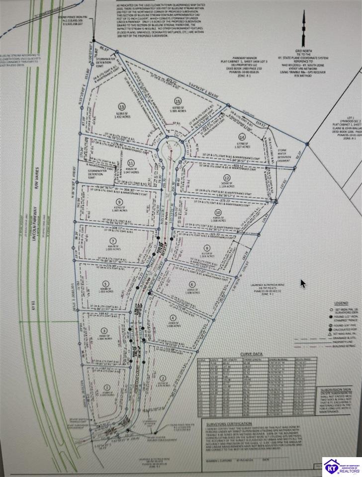
Lot 1 Foxwood Court Elizabethtown, KY 42701
0.94
Total Acres
Hardin
County
Property Details
Acres: 0.94
County: Hardin
Directions: 31-W South to Lincoln Parkway, approximately 1.75 miles, Foxwood Subdivision is on the left.
Listing Remarks
Lot #1 is a .94-acre building lot in newly developed Foxwood Subdivision just outside of Elizabethtown City Limits.
Underground utilities include KU/LGE electricity, Hardin County Water District #2, 1-gig high-speed internet from Brandenburg Telecom. Lot suitable for walk-out basement, minimum square footage of 1,800 for single story or 2,400 for two-story. See Documents for HOA/Building Restrictions and Plat detail/layout.
HOA dues are $200 per year billed every January. Rear of building lot is KY Highway right-of-way fence which cannot be permanently removed.
School Information
School Type: County
Listing Information
Listing Agent: Michael Thomas
MLS#: HK24000988
Listing Office: AT HOME REALTY OF KENTUCKY, LLC
©2026 The Heart of Kentucky Association of REALTORS®/Hardin County Board of REALTORS®. All rights reserved.
